FEATURED
voce di Sicilia
- 18/09/2025
349 views 3 min

Ancora un incidente, ancora strade che si trasformano in trappole. Messina si è svegliata stamattina con la notizia dell’ennesimo sinistro, che si aggiunge a un bollettino di guerra sempre più tragico. Intorno alle 8:00, sulla via Consolare Pompea, all’altezza della chiesa di Grotte, un giovane di 24 anni in sella alla sua moto ha tamponato […]

FEATURED
voce di Sicilia
- 03/09/2022
506 views 40 sec

Un uomo di 64 anni, originario dello Sri Lanka, D. P. le iniziali, ha perso la vita alle 8.30;di stamattina sulla via Consolare Pompea a Messina. L’uomo si trovava alla guida del proprio scooter all’altezza di Pace quando per cause in corso di accertamento, ha perso il controllo del mezzo impattando contro un’auto parcheggiata. La […]

FEATURED
voce di Sicilia
- 24/06/2020
284 views 1 min

Il Dipartimento Servizi Territoriali ed Urbanistici ha disposto la collocazione, lungo la doppia striscia longitudinale continua di mezzeria del tratto della via Consolare Pompea, compreso tra il viale Annunziata e la chiesa S. Maria delle Grotte a Pace, in modo esclusivamente sperimentale, di delineatori flessibili distanziati l’uno dall’altro di 2 metri e intercalati, a loro […]

FEATURED
voce di Sicilia
- 12/03/2020
200 views 3 min

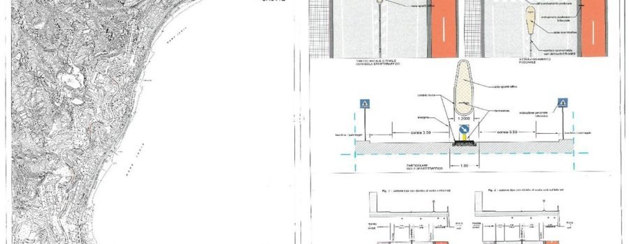
A seguito delle indicazioni emerse a conclusione di riunioni del Comitato Provinciale per l’Ordine e la Sicurezza Pubblica tenutisi in Prefettura e sopralluoghi effettuati dalla Polizia Stradale, Metropolitana e Municipale di Messina in via Consolare Pompea, finalizzati al miglioramento della sicurezza stradale per ridurre l’incidentabilità, con ordinanza n. 289, il Dipartimento Servizi Territoriali ed Urbanistici […]

FEATURED
voce di Sicilia
- 01/01/2020
493 views 1 min

Messina 1 gennaio 2020 E’ iniziata presto la mattinata del primo dell’anno per gli uomini del Comando Provinciale dei Vigili del Fuoco di Messina e per gli agenti delle Volanti della Polizia di Stato. Gli operatori sono infatti dovuti intervenire in via Consolare Pompea in una palazzina sita all’altezza del Blu Sky per un incendio […]

FEATURED
voce di Sicilia
- 29/10/2019
198 views 27 sec

Messina, 28 ottobre Una moto BMW si è scontrata nella serata di oggi contro un’auto Ford Fiesta sulla Consolare Pompea all’altezza di Paradiso. Il centauro è stato sbalzato dalla moto. Soccorso dal 118 è stato trasportato all’opsedale Papardo. Le sue condizioni non embrano essere gravi. Sul posto la Sezione Infortunistica della Polizia Stradale.